K (Skistner verschob die Seite DMX-Ausgabe DMXC3 nach DMX-Interfaces DMXC3, ohne dabei eine Weiterleitung anzulegen) |
(Artikel in großen Teilen vollständig überarbeitet und aktualisiert) |
||
| Zeile 1: | Zeile 1: | ||
{{Kapitelüberschrift|Version=DMXControl 3. | {{Kapitelüberschrift|Version=DMXControl 3.2.1}} | ||
{{DMXC3_Manual-Navigation_Hauptprogramm}} | {{DMXC3_Manual-Navigation_Hauptprogramm}} | ||
{{ | In dem Fenster {{Manual_Windowcaption|DMX-Schnittstellen (DMX-Intefaces)}} werden in DMXControl 3 alle DMX-Interfaces zentral verwaltet. Es gibt hier keine Unterscheidung nach Anschlussart, also ob das DMX-Interface per USB angeschlossen ist oder via Netzwerk arbeitet. | ||
{{Bild_mit_Unterschrift|DMXC3_Manual_DMX_Interfaces_Overview.png|1|Übersicht über die in DMXControl 3 eingerichteten DMX-Interfaces|center}} | |||
= Überblick = | |||
In den vorherigen Artikeln haben wir mehrere Trockenübungen durchgeführt. Jetzt wollen wir aber auch sehen, wie die Geräte reagieren. Dafür werden wir als erstes den Visualizer "Easy View" ansteuern und danach uns anschauen, wie man DMX-Interfaces einbindet, um reale Scheinwerfer steuern zu können. | In den vorherigen Artikeln haben wir mehrere Trockenübungen durchgeführt. Jetzt wollen wir aber auch sehen, wie die Geräte reagieren. Dafür werden wir als erstes den Visualizer "Easy View" ansteuern und danach uns anschauen, wie man DMX-Interfaces einbindet, um reale Scheinwerfer steuern zu können. | ||
= Wichtige Merkmale = | |||
= | {{BoxWichtig|Text=Für die Aktivierung der DMX-Ausgabe müssen Checkboxen in zwei Spalten gesetzt werden: sowohl in der Spalte Interface enabled als auch in der Spalte DMX-out enabled.}} | ||
== | == Unterscheidung == | ||
In DMXControl 3 werden DMX-Interfaces in zwei Gruppen kategorisiert: | |||
* "intelligente" DMX-Interfaces: die DMX-Interfaces übermitteln mindestens eine individuelle Kennung wie eine Seriennummer an das Betriebssystem, wenn man sie mit dem PC verbindet. Oftmals verfügen diese DMX-Interfaces über zusätzliche Funktionen, um mit der Software zu kommunizieren. Diese DMX-Interfaces werden im Dialog zum Auswählen einer neuen DMX-Schnittstelle direkt unter "ihrem" Hersteller mit ihrer jeweiligen Seriennummer aufgeführt. | |||
* DMX-Interfaces der Kategorie "Non auto detect interfaces": diese DMX-Interfaces bedürfen grundsätzlich einer manuellen Konfiguration bei der ersten Verwendung. In der Regel ist dies die Schnittstelle, über diese es vom Betriebssystem angesprochen wird. Der Kategorie "Non auto detect interfaces" sind aber auch die Schnittstellen zugeordnet, welche die DMX-Daten über das Netzwerk oder in Form einer Datei ausgeben und somit kein direktes physisch vorhandenes DMX-Interface mit dem PC verbunden ist. | |||
= Bedienoberfläche = | |||
== Menüleiste == | |||
== Tabelle == | |||
=== Spalten === | |||
{| class="wikitable" | |||
|- | |||
! colspan="2" | Bezeichnung !! rowspan="2" | Beschreibung / Funktionsweise | |||
|- | |||
! style="width: 175px;" | deutsche GUI !! style="width: 175px;" | englische GUI | |||
|- | |||
| Aktiviert || Interface enabled || Aktiviert oder deaktiviert die gesamte DMX-Schnittstelle und das darüber angesprochene DMX-Interface. | |||
|- | |||
| Hersteller || Vendor || Name des Herstellers des DMX-Interfaces. | |||
|- | |||
| Modell || Model || Bezeichnung des DMX-Interfaces. | |||
|- | |||
| Seriennummer || Serial number || Seriennummer des DMX-Interfaces, sofern dieses über eine eigene Seriennummer verfügt. | |||
|- | |||
| Anschluss || Port || Laufende Nummer der verfügbaren Anschlüsse am DMX-Interface. | |||
|- | |||
| DMX-Adresse Ausgang || DMX-out address || Zuordnung des internen Patch in DMXControl zum tatsächlichen DMX-Anschluss für die Ausgabe. | |||
|- | |||
| DMX-Ausgang aktiv || DMX-out enabled || Aktiviert oder deaktiviert die Ausgabe von DMX-Daten auf einen einzelnen DMX-Ausgang, ohne die gesamte DMX-Schnittstelle auszuschalten. | |||
|- | |||
| DMX-Adresse Eingang || DMX-in address || Zuordnung des internen Patch in DMXControl zum tatsächlichen DMX-Anschluss für die eingehenden DMX-Daten. | |||
|- | |||
| DMX-Ausgang aktiv || DMX-in enabled || Aktiviert oder deaktiviert den Empfang von DMX-Daten auf einen einzelnen DMX-Eingang, ohne die gesamte DMX-Schnittstelle auszuschalten. | |||
|- | |||
| Kommentar || Comment || Ergänzende Hinweise zu bestimmten DMX-Schnittstellen bzw. den zugehörigen Anschlüssen. | |||
|} | |||
=== Bedeutung der Farben === | |||
{{Bild_mit_Unterschrift|DMXC3_Manual_DMX_Interfaces_DMX-out_enabled.png|3|DMX-Interface aktiviert und betriebsbereit.|center}} | |||
{{Bild_mit_Unterschrift|DMXC3_Manual_DMX_Interfaces_Interface_disabled.png|4|DMX-Interface deaktiviert.|center}} | |||
{{Bild_mit_Unterschrift|DMXC3_Manual_DMX_Interfaces_DMX-out_disabled.png|5|DMX-Ausgang deaktiviert.|center}} | |||
{{Bild_mit_Unterschrift|DMXC3_Manual_DMX_Interfaces_Interface_error.png|6|Fehler beim Aktivieren des DMX-Interfaces.|center}} | |||
Bei manchen Interfaces (wie zum Beispiel dem Nicolaudie SIUDI) kann ein Port nur entweder als DMX-In oder als DMX-Out fungieren. In diesem Fall erscheinen Checkboxen in den Spalten '''DMX-Out Enabled''' und '''DMX-In Enabled''', über die man das jeweilige Verhalten einstellen kann. | |||
== | = Nutzung = | ||
== Fenster aufrufen == | |||
{{ | Das Fenster {{Manual_Windowcaption|DMX-Schnittstellen}} ruft man über {{Manual_MenuText|Einstellungen (Settings)|DMX-Schnittstellen (DMX interfaces)}} in der Menüleiste des Hauptfensters auf. | ||
{{ | == Neues Interface hinzufügen == | ||
| | {{Bild_mit_Unterschrift |DMXC3L06 AddInterface.JPG|7|Hinzufügen eines Interfaces|right}}Nach dem Betätigen des Buttons {{Manual_Buttons|Schnittstelle hinzufügen}} öffnet sich das Fenster, in dem alle zur Zeit von DMXControl 3 unterstützten Schnittstellen aufgeführt sind. In diesem Baum wählt man die gewünschte Schnittstelle aus und bestätigt dies mit {{Manual_Buttons|OK}}. In allen Fällen öffnet sich direkt der Konfigurationsdialog der Schnittstelle. Typische Tätigkeiten sind hier: | ||
* das eigentliche DMX-Interface auswählen, sollte sich dieses nicht mittels einer Seriennummer am PC angemeldet haben. | |||
* anderen Betriebs-Modus festlegen (unter anderem beim Nodle U1, Nodle R4S oder dem DE- / FX5-Interface), sofern der Standartwert nicht zusagt. | |||
* die Netzwerkkarte (IP-Adresse) wählen, über welche die DMX-Daten ins Netzwerk geschickt werden sollen (insbesondere bei der Ausgabe via Art-Net und sACN). | |||
{{Clear}} | |||
== Arbeiten mit Ausgangs- und Eingangsadressen == | |||
Interfaces, die mehr als ein DMX-Universe unterstützen (wie | Interfaces, die mehr als ein DMX-Universe unterstützen (wie beispielsweise die Ausgabe über das Art-Net-Protokoll), erhalten für jedes DMX-Universum eine Zeile in der Tabelle. Daher gehörten zur Art-Net-Schnittstelle direkt 16 Zeilen. Das Feld '''Port''' gibt den entsprechenden Ein- bzw. Ausgang des Interfaces an. In den Spalten '''DMX-Out Address''' und '''DMX-In Address''' kann man durch einen Doppelklick dem Port eines Interface einem DMX-Universum in DMXControl 3 zuweisen. Der Eintrag muss nach folgendem Schema aufgebaut sein: | ||
DMX-Universe.DMX-Startkanal | DMX-Universe.DMX-Startkanal | ||
DMXControl 3 unterstützt 16 DMX-Universen ( | DMXControl 3 unterstützt 16 DMX-Universen (Universum 1 bis Universum 16) mit je 512 Kanälen (Kanal 1 bis Kanal 512). Soll das Nodle U1 also zum Beispiel alle Kanalwerte ab Kanal 83 im DMXControl-Universum 4 ausgeben und DMXControl die über DMX-In empfangenen DMX-Werte auf Universum 6 anzeigen, trägt man '''4.83''' in dem entsprechenden Feld bei '''DMX-Out Adress''' und '''6.1''' bei '''DMX-In Address''' ein. | ||
== Erweiterte Interface-Einstellungen == | |||
In den erweiterten Einstellungen zur DMX-Schnittstelle | |||
* ordnet man diese zum verfügbaren DMX-Interfaces zu, wenn sich diese nicht über eine individuelle Kennung wie eine Seriennummer in DMXControl 3 melden. | |||
* legt man je nach Funktionsumfang des DMX-Interfaces dessen Verhalten fest, im Falle des Nodle U1 oder dem Nodle R4S also den Modus für den DMX-In und DMX-Out. | |||
* kann man die Signaleigenschaften (Timings) ändern, sofern dies vom angeschlossenen DMX-Interface unterstützt wird. | |||
== | {{BoxHinweis|Text=Es gibt DMX-Geräte, die Probleme mit den Timings haben. Diese Geräte reagieren völlig falsch oder nur teilweise auf gesendete DMX-Werte. Eine Veränderung der Werte "Breaktime" usw. kann da Abhilfe schaffen. Ein Patentrezept gibt es dafür aber leider nicht. Hier muss man zum Teil ein wenig ausprobieren, um die optimalen Werte zu finden.}} | ||
=== USB-DMX-Interface === | |||
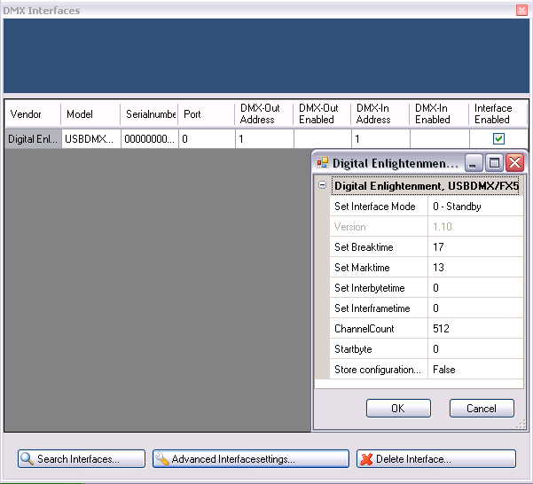
{{Bild_mit_Unterschrift |DMXC3L06 DE IF plugin settings.JPG|8|Ansicht der Erweiterten Einstellungen des DE- bzw. fx5-Interfaces|center}} | |||
< | === Art-Net-Protokoll === | ||
= Links und Referenzen = | |||
<references/> | |||
[[Kategorie: Handbuch DMXControl 3]] | |||
Version vom 15. Mai 2020, 21:30 Uhr
| DMX-Interfaces DMXC3 | Artikel beschreibt DMXControl 3.2.1 |
In dem Fenster DMX-Schnittstellen (DMX-Intefaces) werden in DMXControl 3 alle DMX-Interfaces zentral verwaltet. Es gibt hier keine Unterscheidung nach Anschlussart, also ob das DMX-Interface per USB angeschlossen ist oder via Netzwerk arbeitet.
|
| Abbildung 1: Übersicht über die in DMXControl 3 eingerichteten DMX-Interfaces |
Überblick
In den vorherigen Artikeln haben wir mehrere Trockenübungen durchgeführt. Jetzt wollen wir aber auch sehen, wie die Geräte reagieren. Dafür werden wir als erstes den Visualizer "Easy View" ansteuern und danach uns anschauen, wie man DMX-Interfaces einbindet, um reale Scheinwerfer steuern zu können.
Wichtige Merkmale
| |
Für die Aktivierung der DMX-Ausgabe müssen Checkboxen in zwei Spalten gesetzt werden: sowohl in der Spalte Interface enabled als auch in der Spalte DMX-out enabled. |
Unterscheidung
In DMXControl 3 werden DMX-Interfaces in zwei Gruppen kategorisiert:
- "intelligente" DMX-Interfaces: die DMX-Interfaces übermitteln mindestens eine individuelle Kennung wie eine Seriennummer an das Betriebssystem, wenn man sie mit dem PC verbindet. Oftmals verfügen diese DMX-Interfaces über zusätzliche Funktionen, um mit der Software zu kommunizieren. Diese DMX-Interfaces werden im Dialog zum Auswählen einer neuen DMX-Schnittstelle direkt unter "ihrem" Hersteller mit ihrer jeweiligen Seriennummer aufgeführt.
- DMX-Interfaces der Kategorie "Non auto detect interfaces": diese DMX-Interfaces bedürfen grundsätzlich einer manuellen Konfiguration bei der ersten Verwendung. In der Regel ist dies die Schnittstelle, über diese es vom Betriebssystem angesprochen wird. Der Kategorie "Non auto detect interfaces" sind aber auch die Schnittstellen zugeordnet, welche die DMX-Daten über das Netzwerk oder in Form einer Datei ausgeben und somit kein direktes physisch vorhandenes DMX-Interface mit dem PC verbunden ist.
Bedienoberfläche
Menüleiste
Tabelle
Spalten
| Bezeichnung | Beschreibung / Funktionsweise | |
|---|---|---|
| deutsche GUI | englische GUI | |
| Aktiviert | Interface enabled | Aktiviert oder deaktiviert die gesamte DMX-Schnittstelle und das darüber angesprochene DMX-Interface. |
| Hersteller | Vendor | Name des Herstellers des DMX-Interfaces. |
| Modell | Model | Bezeichnung des DMX-Interfaces. |
| Seriennummer | Serial number | Seriennummer des DMX-Interfaces, sofern dieses über eine eigene Seriennummer verfügt. |
| Anschluss | Port | Laufende Nummer der verfügbaren Anschlüsse am DMX-Interface. |
| DMX-Adresse Ausgang | DMX-out address | Zuordnung des internen Patch in DMXControl zum tatsächlichen DMX-Anschluss für die Ausgabe. |
| DMX-Ausgang aktiv | DMX-out enabled | Aktiviert oder deaktiviert die Ausgabe von DMX-Daten auf einen einzelnen DMX-Ausgang, ohne die gesamte DMX-Schnittstelle auszuschalten. |
| DMX-Adresse Eingang | DMX-in address | Zuordnung des internen Patch in DMXControl zum tatsächlichen DMX-Anschluss für die eingehenden DMX-Daten. |
| DMX-Ausgang aktiv | DMX-in enabled | Aktiviert oder deaktiviert den Empfang von DMX-Daten auf einen einzelnen DMX-Eingang, ohne die gesamte DMX-Schnittstelle auszuschalten. |
| Kommentar | Comment | Ergänzende Hinweise zu bestimmten DMX-Schnittstellen bzw. den zugehörigen Anschlüssen. |
Bedeutung der Farben
| Abbildung 3: DMX-Interface aktiviert und betriebsbereit. |
| Abbildung 4: DMX-Interface deaktiviert. |
| Abbildung 5: DMX-Ausgang deaktiviert. |
| Abbildung 6: Fehler beim Aktivieren des DMX-Interfaces. |
Bei manchen Interfaces (wie zum Beispiel dem Nicolaudie SIUDI) kann ein Port nur entweder als DMX-In oder als DMX-Out fungieren. In diesem Fall erscheinen Checkboxen in den Spalten DMX-Out Enabled und DMX-In Enabled, über die man das jeweilige Verhalten einstellen kann.
Nutzung
Fenster aufrufen
Das Fenster DMX-Schnittstellen ruft man über « Einstellungen (Settings) »⇒ « DMX-Schnittstellen (DMX interfaces) » in der Menüleiste des Hauptfensters auf.
Neues Interface hinzufügen
| Abbildung 7: Hinzufügen eines Interfaces |
Nach dem Betätigen des Buttons [Schnittstelle hinzufügen] öffnet sich das Fenster, in dem alle zur Zeit von DMXControl 3 unterstützten Schnittstellen aufgeführt sind. In diesem Baum wählt man die gewünschte Schnittstelle aus und bestätigt dies mit [OK]. In allen Fällen öffnet sich direkt der Konfigurationsdialog der Schnittstelle. Typische Tätigkeiten sind hier:
- das eigentliche DMX-Interface auswählen, sollte sich dieses nicht mittels einer Seriennummer am PC angemeldet haben.
- anderen Betriebs-Modus festlegen (unter anderem beim Nodle U1, Nodle R4S oder dem DE- / FX5-Interface), sofern der Standartwert nicht zusagt.
- die Netzwerkkarte (IP-Adresse) wählen, über welche die DMX-Daten ins Netzwerk geschickt werden sollen (insbesondere bei der Ausgabe via Art-Net und sACN).
Arbeiten mit Ausgangs- und Eingangsadressen
Interfaces, die mehr als ein DMX-Universe unterstützen (wie beispielsweise die Ausgabe über das Art-Net-Protokoll), erhalten für jedes DMX-Universum eine Zeile in der Tabelle. Daher gehörten zur Art-Net-Schnittstelle direkt 16 Zeilen. Das Feld Port gibt den entsprechenden Ein- bzw. Ausgang des Interfaces an. In den Spalten DMX-Out Address und DMX-In Address kann man durch einen Doppelklick dem Port eines Interface einem DMX-Universum in DMXControl 3 zuweisen. Der Eintrag muss nach folgendem Schema aufgebaut sein:
DMX-Universe.DMX-Startkanal
DMXControl 3 unterstützt 16 DMX-Universen (Universum 1 bis Universum 16) mit je 512 Kanälen (Kanal 1 bis Kanal 512). Soll das Nodle U1 also zum Beispiel alle Kanalwerte ab Kanal 83 im DMXControl-Universum 4 ausgeben und DMXControl die über DMX-In empfangenen DMX-Werte auf Universum 6 anzeigen, trägt man 4.83 in dem entsprechenden Feld bei DMX-Out Adress und 6.1 bei DMX-In Address ein.
Erweiterte Interface-Einstellungen
In den erweiterten Einstellungen zur DMX-Schnittstelle
- ordnet man diese zum verfügbaren DMX-Interfaces zu, wenn sich diese nicht über eine individuelle Kennung wie eine Seriennummer in DMXControl 3 melden.
- legt man je nach Funktionsumfang des DMX-Interfaces dessen Verhalten fest, im Falle des Nodle U1 oder dem Nodle R4S also den Modus für den DMX-In und DMX-Out.
- kann man die Signaleigenschaften (Timings) ändern, sofern dies vom angeschlossenen DMX-Interface unterstützt wird.
| |
Es gibt DMX-Geräte, die Probleme mit den Timings haben. Diese Geräte reagieren völlig falsch oder nur teilweise auf gesendete DMX-Werte. Eine Veränderung der Werte "Breaktime" usw. kann da Abhilfe schaffen. Ein Patentrezept gibt es dafür aber leider nicht. Hier muss man zum Teil ein wenig ausprobieren, um die optimalen Werte zu finden. |
USB-DMX-Interface
| Abbildung 8: Ansicht der Erweiterten Einstellungen des DE- bzw. fx5-Interfaces |
